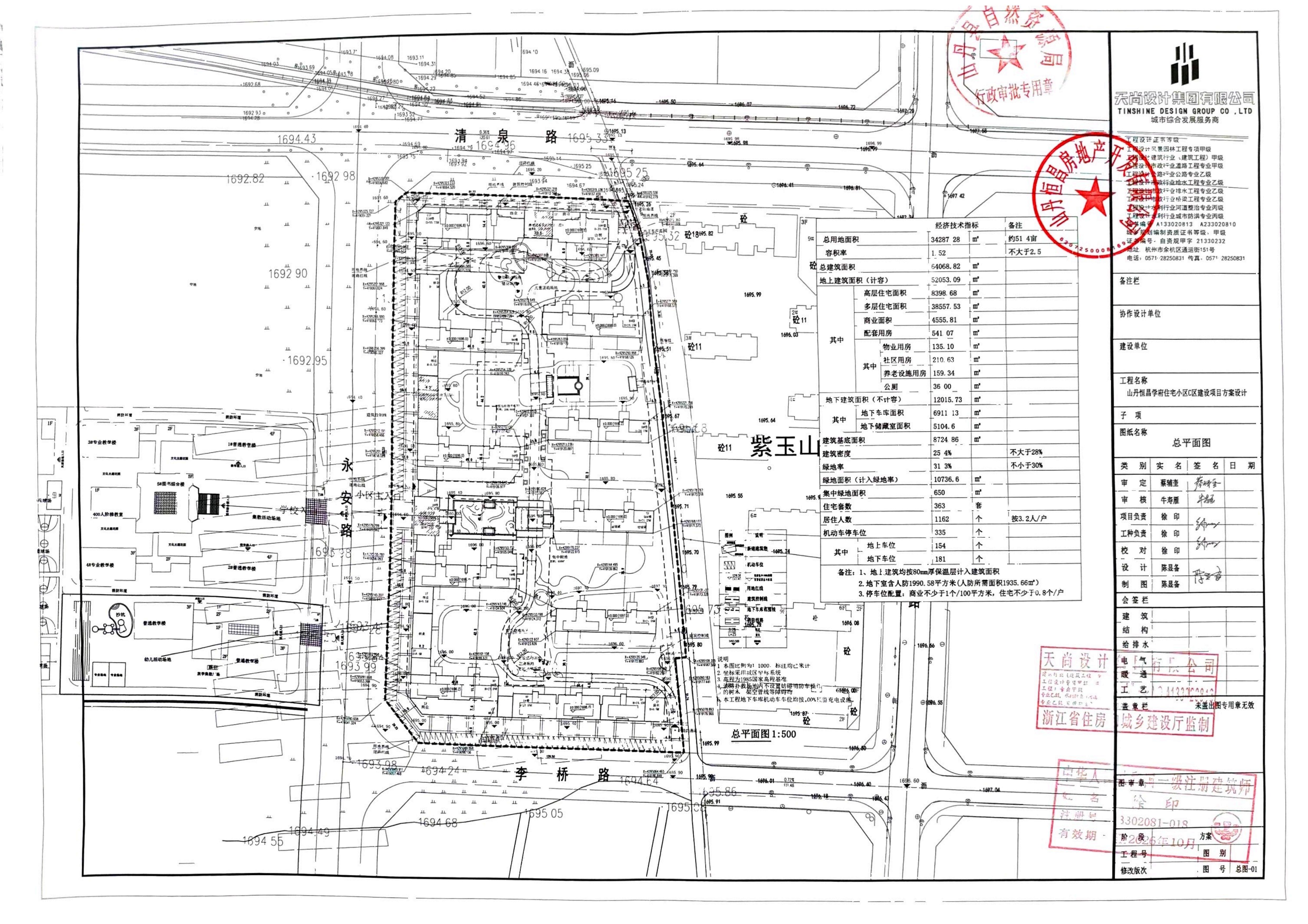
山丹恒昌学府C区建设项目(10#、11#住宅楼)总平面图

索引号: 6207250018/2026-00020

文号:

关键词:

发布机构: 自然资源局

公开形式:

公开目录:

生成日期: 2026-01-13 17:15:49

有效性:

索引号 6207250018/2026-00020 发文字号
关键词 发布机构 自然资源局
公开形式 公开目录
生成日期 2026-01-13 17:15:49 是否有效


扫一扫在手机打开当前页面